Eladó iroda/üzlethelyiség Budapest VIII. ker 37 000 000 Ft

Leírás

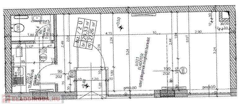
Belvárosi, 27 négyzetméteres, utcai bejáratú, földszinti, napfényes, kiváló állapotú, összkomfortos üzlethelyiség / iroda eladó céggel együtt (Kft., 1/1 tulajdon, alapítva: 2026. 01. 01.), új építésű, 2013-ban átadott, 24 órás portaszolgálattal rendelkező, 93 lakásos házban. Az üzlethelyiség / iroda 2014-ben lett megvásárolva a házat építtető cégtől. Az üzlethelyiségben / irodában üzlettér / iroda, konyha és wc található, a melegvíz és a fűtés házközponti, mindkettő mérőórával mért, az áram háromfázisú, minden közműnek mérőórája van. Az üzlethelyiség / iroda klímával, riasztóval ellátott, nagy üvegportállal rendelkezik, energiatanúsítványa A+, belmagassága 260 cm. Az üzlethelyiség / iroda előtt kifejezetten széles, díszburkolatos járda található, amellett park, játszótér (a háznak is van belső parkja). A házban teremgarázs is van, ahol periodikusan parkolóhely bérelhető / vásárolható. A hely nagy forgalmú. Cím: 1084 Budapest, Mátyás tér 10-11.

A hőszigetelésnek és az üzlethelyiség / iroda fekvésének köszönhetően (egész nap süti a nap) rendkívül alacsony a fűtési költség, 13 év alatt nem érte el az 1 MWh-t.

Az üzlethelyiség / iroda a II. János Pál pápa téri metróállomástól 500 méterre, a 4-es és 6-os villamos Baross utcai (Harminckettesek tere) megállójától 800 méterre található. A környék tömegközlekedése rendkívül jó.

Ár: 37 millió forint
Érdeklődni a +36 30 960 5035 telefonszámon lehet.
Az üzlethelyiség / iroda tulajdonostól eladó, ingatlanközvetítők segítségét nem kérem.

Iroda/üzlethelyiség részletei

Ár: 37 000 000 Ft
Méret: 27 négyzetméter
Azonosító: 11615662
Cím: Mátyás tér 10-11.
Emelet: Földszint
Jelleg: iroda és üzlethelyiség
Elhelyezkedés: Házban
Tulajdonviszony: Tulajdonjog

Egyéb jellemzők

  • Utcafront

Így keressen eladó irodát négy egyszerű lépésben. Csupán 2 perc, kötelezettségek nélkül!

Szűkítse a eladó irodák
listáját
Válassza ki a megfelelő
eladó irodát
Írjon a hirdetőnek
Várjon a visszahívásra